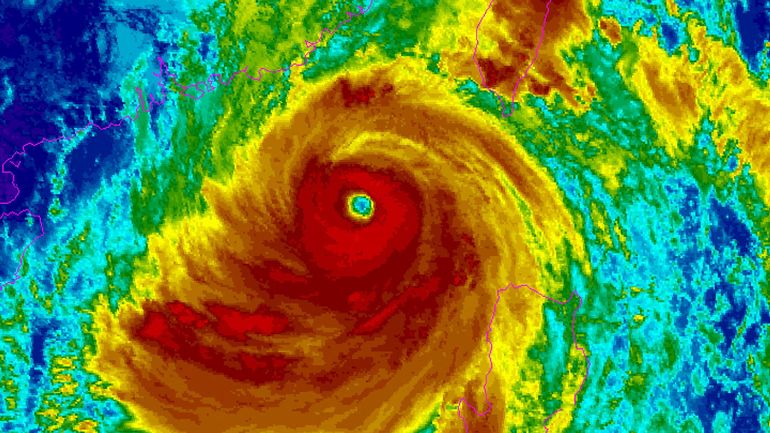
Après un passage dévastateur aux #Philippines et à #Taiwan, le super typhon #Ragasa se dirige désormais vers #HongKong et le sud de la #Chine, avec des ...
Actualités similaires
Articles similaires à Asie : le super typhon Ragasa menace le sud de la Chine
Ragasa a touché le nord des Philippines et Taïwan avec son cortège de fortes pluies et de vents violents. Un lac formé par un glissement de terrain dans ...
Actualités similaires
Singapore Airlines, sa filiale low-cost Scoot et Cathay Pacific ont annulé de nombreux vols à destination et en provenance de Hong Kong, alors que le super ...
Actualités similaires
Le sud de la Chine se prépare dans l'urgence à l'arrivée du super typhon Ragasa mardi, une « menace grave » selon les autorités de Hong Kong, comparable ...
Actualités similaires
Hong Kong se préparait mardi à l'arrivée du super typhon Ragasa, le plus puissant cyclone observé jusqu'à présent cette année, les autorités exhortant ...
Actualités similaires
Le sud de la Chine se prépare dans l'urgence à l'arrivée du super typhon Ragasa mardi, une "menace grave" selon les autorités de Hong Kong, comparable à ...
Actualités similaires
Le sud de la Chine se prépare dans l'urgence à l'arrivée du super typhon Ragasa mardi, une « menace grave » selon les autorités de Hong Kong, comparable ...
Actualités similaires
Après un passage dévastateur aux #Philippines et à #Taiwan, le super typhon #Ragasa se dirige désormais vers #HongKong et le sud de la #Chine, avec des ...
Actualités similaires
Le super typhon Ragasa, avec des vents soufflant jusqu'à 220 km/h, menace Hong Kong et le sud de la Chine ce mardi 23 septembre 2025. L'alerte maximale T8 a ...
Actualités similaires
Le super typhon Ragasa, appelé Nando aux Philippines, est passé au nord des Philippines. Il se dirige maintenant droit sur la côte chinoise et possiblement ...
Actualités similaires
Le sud de la Chine se prépare à l'arrivée imminente du super typhon Ragasa, une tempête d'une intensité comparable aux typhons les plus dévastateurs de la ...
Actualités similaires
Les autorités chinoises ont annoncé la suspension du travail, de l'école et des transports à Shenzhen et dans une dizaine de grandes villes du sud ...
Actualités similaires
Les autorités chinoises ont annoncé la suspension du travail, de l'école et des transports à Shenzhen et dans une dizaine de grandes villes du sud ...
Actualités similaires
Après avoir frappé les Philippines, le super typhon Ragasa se dirige droit vers Hong Kong mardi, où les autorités mettent en garde contre une "menace ...
Actualités similaires
Les autorités de Hong Kong se préparent dans l'urgence à l'arrivée du super typhon Ragasa mardi, les autorités mettant en garde contre une "menace grave" ...
Actualités similaires
Selon le service météorologique de Hong Kong, Ragasa générait des vents d'une vitesse maximale soutenue de 220 km/h en son centre alors qu'il traversait la ...
Actualités similaires
Après avoir traversé une partie des Philippines, le typhon se dirige vers la Chine et devrait atteindre le sud du pays ce mardi. Des évacuations massives ont ...
Actualités similaires
Le sud de la Chine devrait être touché de plein fouet par Ragasa, classé comme supertyphon, après avoir traversé le nord des Philippines. Les régions de ...
Actualités similaires
Le typhon Ragasa, accompagné de vents à plus de 200 km/h, a touché le nord des Philippines, lundi. Il se dirige vers le sud de la Chine. Les autorités ont ...
Actualités similaires
Le typhon Ragasa fait souffler des vents à près de 300 km/h lundi sur les Philippines. Il doit atteindre à partir de mardi soir le sud de la Chine, où la ...
Actualités similaires
Le super typhon Ragasa, appelé Nando aux Philippines, balaie le nord de l'archipel ce 22 septembre. Avec ses vents extrêmes, ses pluies torrentielles et une ...
Actualités similaires
L'Asie de l'Est se prépare au passage du super typhon Ragasa, qui fait souffler lundi des vents violents dans le nord des Philippines tout en se dirigeant vers ...
Actualités similaires
L'Asie de l'Est se prépare au passage du super typhon Ragasa, qui fait souffler lundi des vents violents dans le nord des Philippines tout en se dirigeant vers ...
Actualités similaires
Les services d'urgence de la mégapole chinoise de Shenzhen (sud) ont annoncé qu'elles prévoyaient d'évacuer 400 000 personnes à l'approche du super typhon ...
Actualités similaires